Forfatter
Eskild Arentoft
Arkæolog
For ca. 40 år siden var installeringen af fjernvarme i Nonnebakkekvarteret anledningen til, at man kunne efterprøve den teori, som var blevet fremsat om, at nonnernes borg på sydsiden af Odense Å i virkeligheden skulle være fra vikingetiden. Og være et anlæg magen til dem, man i de to foregående årtier havde undersøgt – først Trelleborg på Sjælland, derefter Aggersborg i Han Herred og nu – i 1953 – helt aktuelt Fyrkat i Himmerland.
Vikingeborgen Nonnebakken tilhører en lille gruppe på fire borge indenfor det nuværende Danmarks grænser. Selvom borgene i detaljen rummer en del forskelligheder, er de i det overordnede udseende meget ens, fig. 1: De er strengt geometrisk opbyggede – en helt cirkulær jordvold, der både på yder- og indersiden har været beklædt med træ, samt har haft et indre træskelet, der skulle holde sammen på jordmasserne. Både yder- og inderfronten af volden har været lodret, men yderfronten har haft et »skørt« af skråtstillet tømmer – den såkaldte escarpe -, hvis formål er at holde en fremtrængende fjende borte fra at krybe i ly helt inde ved foden af voldfronten. Her ville forsvarerne på voldkronen kun vanskeligt kunne beskyde ham uden at blotte sig selv for meget. Udenom volden har været en spidsgrav, dvs. en grav, hvor de jævnt skrånende sider mødes i bunden på midten, så et tværsnit af graven er V-formet. Mellem voldgraven og volden er et fladt, åbent areal – bermen. Langs voldens inderside har løbet en ringgade, og fire porte i volden – en i hvert verdenshjørne – har været forbundet med hinanden af en korsgade. Derved opstår fire karréer. I hver af disse ligger fire af vikingetidens store hal-huse med buede langvægge. Altså 16 huse ialt. På Aggersborg, som er noget større end de øvrige, har man endda fundet plads til 3 gange 4 huse i hver karré, så denne borg har haft 48 huse.

Borgenes størrelser er imponerende: ringvolden på Aggersborg er godt 260 m i diameter og dens længde over 800 m. På Trelleborg er diameteren knap 175 m, mens Fyrkat, som den mindste har målt knap 145 m. Nonnebakken har omtrent haft samme dimensioner som Fyrkat. Trelleborgs byggeår er med stor præcision dendrokronologisk fastlagt til 980/81[1]. Lignende undersøgelser for Fyrkats vedkommende viser, at den må have omtrent samme alder, men træprøverne har ikke haft kvalitet til en fuldstændig præcis datering – men næsten[2]. Det understreges endvidere af en datering på grundlag af oldsagsfundene, der siger ca. 950-990[3]. Fra Nonnebakkeområdet haves en mindre række af genstandsfund – mønter og smykker – udfra hvilke det konkluderes, at der var aktivitet på Nonnebakken omkring 975-990[4].
Efter næsten 40 år var fjernvarmerørene på Nonnebakken i 1992 udtjente; de sprang læk, måtte udskiftes, og det medførte, at det endnu engang blev muligt at stille an med arkæologiske undersøgelser. I den mellemliggende periode er der adskillige gange blevet gravet i anlægget – af forskellige grunde og med forskellig hensigt. Denne artikels mål er primært at fremlægge resultaterne fra 1992-gravningen, der kan fortælle om konstruktive detaljer vedrørende ringvolden. Da der udover volden selv til forsvaret af borgen også har hørt en voldgrav, skal nogle resultater vedrørende den også præsenteres. De stammer primært fra et antal småhuller, som var foranlediget af nedlægningen af stærkstrømskabler i fortovet til Nonnebakken. Undersøgelsen i forbindelse med det fandt sted fra efteråret 1987 til foråret 1988 ad flere omgange. Et af resultaterne har tidligere været offentliggjort i dette skrift[5].
Fordi de nye fjernvarmerør blev lagt ned umiddelbart ved siden af de gamle fra 1953, kan en række af de stolpehuller og andre iagttagelser, der er gjort, knyttes direkte til de optegnelser, der blev lavet for 40 år siden. For at tydeliggøre og i øvrigt lette forståelsen af det sete, vil noget af dette gamle materiale også blive inddraget. Undersøgelsen blev dengang foretaget på foranledning af museumsinspektør C.G. Schultz fra Nationalmuseet, men i praksis blev arbejdet og alle optegnelser udfærdiget af Svend Søndergaard, der var Schultz’s højre hånd, når det gjaldt vikingeborge.

Topografi og lidt byhistorie
Stedet, som bygherren udvalgte til det store, fynske borgbyggeri, ligger på et relativt fladt plateau, der fra baglandet, som stiger svagt mod Hunderup, skyder sig frem mod Odense Å. Mod nordvest ligger Munke Mose, et lavt, fugtigt område. I nord skråner terrænet let fra borgen ned mod åen, der ligger i en afstand af 50 m. En gravning i 1987 viste, at åens løb ikke har været tættere på voldstedet, end tilfældet er idag[6]. Mod øst kan der eventuelt have været et lille vandløb, Fibækken. Det ses kun på nogle enkelte kort fra anden halvdel af 1800-tallet. Efter disse kort at dømme passerer bækken Nonnebakken ganske tæt østen om – så tæt, at den, hvis den altså har eksisteret, næsten må have indgået i voldgraven omkring borgen. Fra borgen har der mod nord været fri udsigt over Odense Å over på den nordlige åskrænt, hvor senere middelalderbyen Odense voksede op med centrum omkring Skt. Albani Kirke og domkirken. Hvor meget by, der har været på borgens tid, er noget tvivlsomt; der er ikke blandt de udgravninger, der er foretaget i de centrale dele af byen, fundet så gamle spor. Heller ikke de ældste rester af Skt. Albani Kirke har med sikkerhed kunnet føres helt tilbage til borgens tid. Men vikingerne har boet på nordsiden af åen; to steder er deres tilstedeværelse konstateret, se fig. 2, nemlig på åskrænten ved Ejby Mølle[7] 2 km mod øst, samt ved den vestlige ende af Vestergade[8]. Sidstnævnte sted ligger nærmest nordvest for borgen, men i ganske kort afstand – og man har nemt kunnet kigge over til
hinanden. Det er ikke muligt at konstatere, om bebyggelsen på dette tidlige tidspunkt har været af permanent karakter eller har været sæsonbetonet. Det sidste kunne være tilfældet, hvis teorien om, at Odense var opstået på en lokalitet, hvor der fra gammel tid havde været kultdyrkelse, er rigtig.


Den fornemmelse man idag kan have af, at borgen ligger i eller ved en by, holder altså ikke helt stik. Landskabet dengang har været langt mere øde. Den største af vikingeborgene, Aggersborg, er bygget så den delvis dækker en landsby fra vikingetiden. Landsbyen er kun i mindre grad undersøgt, så det er ikke klart, hvornår beboelsen af den ophørte. Nonnebakken er dermed indtil videre den eneste borg, hvorom det vides, at der i umiddelbar nærhed har været samtidig bebyggelse.
Indtil begyndelsen af forrige århundrede var arealerne syd for Odense Å stort set ubebyggede, og borgen lå her som et stadigvæk særdeles synligt voldsted. Således omtaler Vedel-Simonsen i 1842 »den dybe grav udenom samme [volden, forf. anm.], som endnu i 1811 så tydelig var at se«[9]. Borgområdet er idag næsten fuldstændigt bebygget, og det er svært at danne sig et overblik over det. Bedst syner det fra nordvest – fra kanten af Munke Mose ved Klaregadebroen. Herfra kan man endnu (med en god portion fantasi) fornemme, hvordan man her fra åbrinken har skuet op på borgen. Odd Fellow-logens bygning ligger oppe på det flade terræn, der har udgjort borgpladsen. Den lave skrænt med græsplænen foran logebygningen følger endnu voldens krumning, og man møder jævnligt den misforståelse, at den pågældende skrænt er rester af volden. Det er kun delvis rigtigt. Under græsplænen er der tørv, som stammer fra voldlivet, men skrænten selv er ikke et udtryk for voldfronten. Toppen af skrænten svarer nogenlunde til voldens oprindelige inderside, mens foden omtrent svarer til ydersiden. Den nuværende skrænt ligger altså, så den ville have været helt dækket af voldens fyldmasser, hvis den havde eksisteret endnu. En vold, der får lov til at skride naturligt sammen bliver bredere, end den oprindeligt var, og voldens yderkant rykker følgelig ud efter. Skrænten, som den ses idag, må altså være et produkt af kunstig afgravning.
Disse afgravninger er sikkert væsentligst foregået i 1700-tallet og begyndelsen af 1800-årene. På et udskiftningskort fra 1785 er volden endnu tydeligt markeret cirkulært med både en nordlig og en sydlig voldhalvkreds, men fra samme tid haves flere efterretninger om, at volden – vistnok især dens sydlige del – brugtes som grusgrav. Den endelige udformning af voldens nordvestlige del har temmelig sikkert fundet sted i forbindelse med prokurator Rasmus Rasmussens opførelse af sin nye villa i 1837. Villaen indgår nu i logebygningen.
Omkring århundredeskiftet stod endnu en bid af voldens nordøstlige del tilbage – så meget, at det afspejledes i kotelinjerne på Geodætisk Instituts målebordsblad fra 1908 (målt 1904). For 90 år siden stod volden her endnu godt 1 m høj i forhold til borgpladsen. Noget højere i forhold til terrænet udenfor. I 1909 blev de sidste synlige rester af nordvolden kørt væk – de endte som opfyldningsmateriale for byens nye elektricitetsværk på Klosterbakken lige ovre på den anden side af åen.

Borgen har ligget tørt og godt. I nord har regnvand kunnet trække ned til Odense Å ad den svage skråning; i nordvest er det rendt ned i Munke Mose, og i øst har Fibækken givet kunnet dræne dette afsnit af voldterrænet. – Eller regnvandet er ganske simpelt endt i voldgraven. Den viser alle steder tegn på – i hvert fald for bundlagenes vedkommende – at have været fugtig.
Det lidt pudsige navn, Nonnebakken, der kendes første gang fra ca. år 1200 (da som Nonneborg)[10], hentyder til et nonnekloster af Benediktinerordenen, der i en kortere årrække lå her i 1100-tallet. Hos Sven Aggesen på samme tid er benævnelsen kun Burgh, altså borg. Man har på det tidspunkt stadig været klar over stedets fortid som borganlæg, ja man har simpelthen kunnet se det. Siden skifter betegnelsen mellem Nonneborg og Nonnebjerg, og idag hedder gaden, som ligger ved den nordlige fod af det udjævnede voldsted, Nonnebakken. Klosteret er senest etableret i biskop Simons tid mellem 1157 og 1186[11], men dets historie kendes ikke i dybtgående detaljer. Dog har det nok haft en tæt tilknytning til munkeklosteret af samme orden, som var bygget med forbindelse til domkirken lige på den anden side af åen. Den tid nonnerne boede i den markante ruin, som vikingernes borg har udgjort på det tidspunkt, blev ikke lang, idet de flyttede til Dalum. Der er almindelig enighed om, at flytningen til Dalum indtraf i 1190’erne eller lige omkring 1200.
Gravefelternes placering
I det følgende skal gives en beskrivelse af de fund af stolpehuller og -spor fra hhv. voldens ydre og indre front, der er gjort i 1992 og som kan sammenholdes med tidligere gjorte fund, hvorved et vist begreb om voldens udseende kan dannes. De steder, iagttagelserne er gjort, er beliggende flere forskellige steder på voldanlægget og er vist på fig. 5. Kun de gravninger og iagttagelser, der er relevante for denne artikel er med.
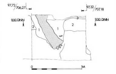
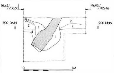
Nr. 1 på kortet er Søndergaards snit I – et snit gennem det yderste af borgpladsen og volden. Nr. 2 er Søndergaards snit II, som viste et sammenhængende snit af vold og voldgrav, foruden lidt af borgpladsen. Nr. 3 er Søndergaards snit IV, der viste stolper fra den ydre voldfront, mens nr. 4 er to snit, Søndergaard lavede i kanterne af voldgraven i Hunderupvej[12]. Nr. 5 er et snit fra 1992 parallelt med Søndergaards snit I. Snittet er generelt ikke gravet så dybt som Søndergaards og viser derfor ikke så mange detaljer. Nr. 6 er en fjernvarmegrøft fra 1992 ligeledes lagt umiddelbart op ad Søndergaards gamle grøfter. Grøften viser træværk fra escarpen og den lodrette voldfront. Nr. 7 er en fjernvarmegrøft fra 1992 i Læssøegade, hvor voldgraven blev konstateret v.hj.a. boreprøver[13]. Nr. 8 er et snit i voldgraven fra marts 1988[14] og endelig er nr. 9 flere småsnit i voldgraven fra maj 1988[15].

Stolpehuller i den indre voldfront
Ved opmålingen af profilen i fjernvarmegrøften i 1992 kunne man iagttage stolpespor omtrent dér, hvor den indre voldfront skulle være ifølge den rekonstruerede grundplan. Stedet falder sammen med, at det karakteristiske, stribefyldte (græs-?)tørvsmateriale, som er blevet brugt til opbygningen af volden, begynder. Dog ikke helt præcist, for der ligger faktisk tørv også på indersiden af stolperne – men derom senere.

Stolpesporene, der for den inderste rækkes vedkommende står svagt og kun til dels er til at skille fra den omgivende fyld, står begge skråt, således de peger ind mod hinanden. Stolpesporene stod så svagt, at det kun var muligt at se den ene række af dem i fladen. Iagttagelsesforholdene var nu heller ikke de allerbedste, for de nye fjernvarmerør var allerede lagt, så der måtte graves nedenunder dem med en frihøjde på kun en halv meter. Tegner man disse stolpespor sammen med dem, Søndergaard afdækkede i 1953, ligger de nok så nydeligt i forlængelse af hinanden, og der er næppe tvivl om, at det (eller de) manglende spor også har været der.

Af de to stolpespor, der kunne ses i profilen, hælder det inderste (regnet fra borgcentrum) ca. 22° ind mod volden, mens det yderste hælder ca. 28° væk fra volden. Det var ikke muligt at se noget stolpehul til disse stolper – kun sporet efter selve træstolpen (der er visse tegn i Søndergaards opmålinger på, at begge stolperækker er nedsat i én bred grøft). Begge stolper stod i en særdeles hård, leret sand med småsten – næsten stabilgrusagtig i sin karakter. På voldsiden af den yderste stolpe var der dog sort tørvefyld næsten ned til bunden af den. Lignende forhold er i ganske kort afstand herfra set i 1953. Adskillige skrå stolpespor er registreret, men særlig én profilopmåling viser næsten identiske forhold, fig. 9. Både stolpernes skæve stilling, hvor de peger ind mod hinanden, den hårde stenede fyld mellem dem, samt tørvefylden på voldsiden af den yderste stolpe er ens.

Tegner man disse spor sammen, danner der sig to rækker af stolper, der mere eller mindre skråt peger ind mod hinanden. Ca. 28 m længere mod nord ses endnu engang næsten identiske forhold, fig. 10. Stolperne kan da tolkes som den tømmerkonstruktion, der skulle hindre tørvefylden i at skride ind på borgpladsen. Den hældning væk fra volden, som stolpen nærmest volden har, viser, at konstruktionen alligevel på et tidspunkt har givet efter. Det er forklaringen på den lille, udflydende klat af tørvefyld, der lå indenfor stolperækkerne. Fylden havde en svag, men stadig erkendelig, stribet karakter, og laget blev tyndere jo længere væk man kom fra voldfoden. De nedskredne tørv ses både på fig. 6 og 10.

Da det er det stykke af stolpen, der står nede i jorden, der er kæntret, må udskridningen være sket, ikke fordi stolperne var rådnet over i jordoverfladen, men fordi det tømmer, som skulle holde trævæggen i lodret position (et indre træskelet i voldens fyld og/eller ydre skråstivere) ikke har kunnet holde. Man må nok forestille sig, at et længere stykke af væggen har givet efter på én gang; og at det har været en proces, der er gået ganske langsomt, sådan at græstørvsstrukturen kunne delvist bibeholdes i de masser, der skred ud. Det meget hårde lag, som omgav stolperne, kan måske være dannet ved den komprimering, der må være sket, fordi træet ganske langsomt masede sig gennem fylden.

Den inderste stolpe – eller stolpen længst væk fra volden – stod jo skråt ind mod volden. Så den må altid have haft en sådan hældning, og har altså fungeret som skråstiver. Spørgsmålet er imidlertid om den hældning på 22°, den nu har, er den oprindelige. Hvis trækonstruktionen stadig hang sammen, da udskridningen foregik, må stolpen været blevet løftet mere op mod lodret. Hvor meget den er blevet rettet op, kan man næsten kun gætte på, men har den bevæget sig nogenlunde ligeså meget som den yderste stolpe, er en oprindelig hældning på 45°-50° ikke urealistisk. I så fald kan man beregne, at den har stødt sammen med den lodrette voldfront ca. 10-20 cm over den daværende overflade. Overfladen synes nemlig at være repræsenteret ved et tyndt lerlag, der dels skiller fylden omkring de nedre ender af stolperne fra de sekundært indskredne tørvemasser (dvs. lerlaget er den flade, som tørvene skred ud på), dels ligger i det niveau, hvortil stolperne kunne spores. Umiddelbart kan det lyde urimeligt at lave en så lav skråstiver, idet momentet omkring den vil være meget stort og dens effekt tilsvarende ringe. Men for det første holdt trævæggen jo heller ikke, og for det andet har man muligvis skullet bruge de første par meter indenfor volden til en ringgade, således som tilfældet er på de andre ringborge. Man måtte så vælge den »lave« skråstiverløsning eller også finde sig i, at skråstiverne passerede op gennem vejbanen med den deraf følgende ringe passage.
En tilsvarende række af skråstivere så tæt på den lodrette inderfront kendes ikke fra Fyrkat. Derimod ses én på Trelleborg, hvor den omtales som 12 cm tynde stokke, der formodentlig kun har haft betydning, mens træværket blev rejst[16].
Stolpehuller i den ydre voldfront
Stolpehuller fra den ydre voldfront blev opmålt i en fjernvarmegrøft i skolegården til Giersings Realskole på det stykke af gården, der ligger mellem skolebygningen og gaden Nonnebakken. Ind gennem skolegården er lagt en krum række af chaussésten, der skal vise voldens forløb. De grøfter, som i 1953 var gravet op til den gamle fjernvarme, var meget smalle – kun ca. 50-60 cm brede, så de områder, Søndergaard kunne undersøge, var beskedne. Han har imidlertid registreret stolpehuller, der ligger udenfor selve grøfternes forløb. Et sted kunne vi se, han ved at grave fra siden i profilen havde forfulgt stolperækken sidelæns, så langt armen kunne nå. Fylden var meget blød og vi blev i begyndelsen snydt til at tro, at der var tale om et stolpehul, som jo undertiden kan have meget blød fyld, hvor stolpen er rådnet væk. Det var jo sådan set også et stolpehul, men det var altså bare gravet ud.

Stolperne i den ydre front stod også i to rækker. På fig. 11 er 1992-hullerne tegnet sammen med Søndergaards fra 1953. Man skal imidlertid være opmærksom på, at de huller, som ligger udenfor grøfterne, sandsynligvis alle er registreret ved ovennævnte metode med sidelænsgravning i smalle, dybe – og ikke mindst mørke – kanaler, hvorfor detaljer som f.eks. træværkets facon nok skal tages med et gran salt. Dette accentueres af det faktum, at det træværk, vi registrede fra den inderste af de to rækker, er af noget spinklere og anden facon end Søndergaards.
Foruden disse rækker af stolper kunne der også i dette område – mellem stolperækkerne – ses en stenbræmme, samt – på arealet foran stolperækkerne – en dyb, stejl nedgravning, som tilsyneladende følger voldfrontens krumning.

Sporene efter volden kom næsten umiddelbart under skolegårdens asfalt med sten- og slaggeunderlag. Her var en utrolig homogen brun muld uden aftegninger af nogen art. Der er antagelig tale om voldfyld, selvom ethvert spor af sædvanlig græstørvsstruktur ikke var synlig. Svage, overvejende vandretliggende jernudfældningsstriber kan dog muligvis have forbindelse til græstørvsstablingen. Fylden er ved voldens sammenskridning flydt ud over hele arealet – den lå nemlig også ud over bermearealet. Det brune lag var ovenpå sporene af voldens træværk m.v. ganske tyndt – op til 5-10 cm.
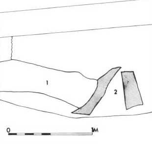
Yderst kunne konstateres en række af skråtstillede stolper – voldfrontens escarpe – 4 ialt, hvoraf de 3 blev undersøgt nærmere. Hertil kommer yderligere en (måske 2), som Søndergaard registrerede i 1953. Stolperne er gravet ned i en grøft, der foroven var op til 70 cm bred. Grøften var gravet ned gennem et muldlag på 20-30 cm’s tykkelse, som lå ovenpå undergrundsleret. Muldlaget, der bortset fra et enkelt potteskår var sterilt , er opfattet som det oprindelige muldlag. Grøften var gravet ned til 70 cm’s dybde og nåede dermed et godt stykke ned i undergrundsleret. Fordi stolperne skulle stilles skråt i grøften, var den ikke gravet ned i fuld dybde i hele bredden, men var udformet med et »trappetrin«. De 3 af stolperne stod med en indbyrdes afstand på hhv. 38, 53, og 51 cm målt fra centrum af stolperne. De øvrige har stået med nogenlunde tilsvarende afstande. Hældningen af de 3 ind mod volden er på hhv. 57°, 60° og 63° – altså et gennemsnit på ca. 60°.
Denne række af skrå escarpestolper har på Nonnebakken tilsyneladende tjent to formål: dels escarpens egentlige, at hindre en fremtrængende fjende i at krybe i ly helt inde ved foden af voldfronten, dels at fungere som skråstiver for voldfronten. I og med at der er en afstand mellem stolperne på en halv meter, har en ikke altfor tyk fjende måske nok kunnet mase sig ind mellem dem. Men hans position dér ville ikke være gunstig, fordi han ikke hurtigt kunne slippe væk igen og iøvrigt ikke ville være istand til at bevæge sig hurtigt rundt langs voldfoden. Man skal heller ikke være blind for, at mellemrummene godt kan have være lukket over jordsmonnet med enten vandret træværk, som tilfældet er på Aggersborg, eller lodrette fjerplanker indskudt i noter i stolperne som på Fyrkat[17].




Indenfor escarperækken kom den næste tømmerrække – fra den lodrette voldfront. Stående i en afstand af 125 cm fra det sted, hvor escarpestolperne bryder op gennem jorden (fra centrum til centrum af træværket). Det mål svarer næsten præcist til målene fra Fyrkat (ca. 130 cm), men bør nok endnu tages med lidt forbehold, idet det jo ikke bygger på særlig mange mål. Specielt i forbindelse med det skrå tømmer i escarpen vil forskelle i terrænhøjden få denne afstand til at variere. Afstanden mellem de to tømmerrækker betyder, at escarpen med den ovennævnte hældning har fået kontakt med den lodrette front i godt 2 m’s højde. Tømmeret er gravet ned i en lille, spinkel V-formet grøft, fig. 13 d, der kun er gravet 34 cm ned i forhold til den gamle overflade. Både i fladen og i snit kunne i denne grøft følges et tyndt træspor på bare et par cm’s tykkelse. Øverst dannede den en sammenhængende stribe, men lidt længere nede anede man en vis opdeling, der kunne tyde på planker stillet lodret side om side. Det kan dog ikke afgøres med sikkerhed på grundlag af resultaterne af denne gravning. Hvor grøften blev snittet, kunne man ved bunden af det smalle træspor se et firkantet spor ca. af lægtestørrelse, der sommetider lå foran det smalle spor sommetider bagved. Betydningen af dette er heller ikke klar.

En meget vigtig iagttagelse er imidlertid, at træværket kun var gravet ned til denne ringe dybde. Grøften og dens træværk må formodes at stamme fra den lodrette voldfront – den beklædning af træ, der skulle holde græstørvsmasserne på plads, og som har været adskillige meter høj. Har en så spinkel grøft og så tilsyneladende spinkelt træværk været i stand til at holde på alt det materiale? Næppe i den udformning alene; der må noget mere til. Man kan forestille sig, at voldfronten har haft en opdeling i fag, hvor mellemfaldende stolper er gået ned i større dybe i regulære stolpehuller. Disse stolper kan så have været forbundet af vandretliggende tømmer, som de tyndere planker i grøften kan have hvilet opad. Samtidigt må der have været et indre træskelet, der har forbundet den ydre og indre voldfront med hinanden i lighed med forholdene på de andre ringborge. I vores forholdsvis smalle fjernvarmegrøft ville det ikke være umuligt, at vi blot havde ramt midt i et fag og derfor ikke så noget af det kraftigere, dyberegående tømmer.

Mellem de to grøfter lå et lag af lermateriale fra gravningen af grøften til escarpestolperne. Det meste af fylden er selvfølgelig blevet smidt tilbage i grøften omkring stolperne, da de var sat på plads, men dels har stolperne fyldt lidt, dels har den lerede fyld sikkert kun vanskeligt kunnet stampes effektivt, så noget af materialet er blevet til overs og har fået lov til at blive liggende inde under den skrå escarpe. Det meste af grøftefylden er nok blevet kastet op på indersiden, for udvendigt lå kun få, små og spredte klatter af ler, der lige akkurat kunne fortælle, at hér havde overfladen været.
På og delvis presset ned i den efterladte lerfyld mellem escarpestolperne og voldfronten var en bræmme af småsten. De fleste i størrelser mellem 3-10 cm, enkelte op til 20 cm. Materialet var overvejende flint, men også almindelige bjergarter var repræsenterede. Stenbræmmen var 30-40 cm bred og lå nærmest escarpestolperne. Fra Fyrkat er beskrevet en stenbræmme beliggende ved den indre voldfront, og den antages at være skabt ved, at stenene er drattet ud af voldfylden, efterhånden som træværket i voldfronten brød sammen, men inden jorden for alvor selv begyndte at skride[18].

De nedfaldne sten, resterne af det opgravede undergrundsler, samt den højde, hvortil stolpesporene kunne følges, falder altsammen i samme niveau omkring kote 9,20-9,25, som altså må svare til den kote, byggeriet blev foretaget på.
Voldgraven
De tre øvrige vikingeborge er alle forsynet med en voldgrav, der ikke omkranser anlæggene helt, idet terrænforholdene ikke altid levner plads til det. Ældre kort fra 1700-tallet har Nonnebakken afbilledet med voldgrav – en grav, der vises hele vejen rundt om anlægget, og som tidligere anført skrev Vedel-Simonsen i 1842, at anlægget havde en dyb grav, som endnu i 1811 var tydelig at se. Gennem Svend Søndergaards gravning i 1953 kom der syn for sagn, idet han ved to snit anlagt i Hunderupvej i anlæggets sydvestlige fjerdedel påviste den, fig. 5 nr. 4, samt lavede yderligere et sammenhængende snit tværs gennem både den og volden. Snittet viser dog ikke graven så stejl, som den egentlig er, fordi det ikke var anlagt radiært på anlægget. Det var i anlæggets nordvestlige del, fig. 5 nr. 2.

Her skal fortrinsvis omtales de to seneste kontakter, som ikke tidligere har været offentliggjorte. Ved gravningen i det sene forår 1988 blev lavet 4 snit i voldgraven, som underbyggede iagttagelserne fra tidligere samme år, fig. 5 nr. 9. De viste bunden af en V-formet grav, hvis sider havde en hældning på 40-45°. Voldgraven var kun bevaret i stor dybde, og ingen steder var mere end de nederste 60-75 cm bevaret. Et vandvasket sandlag kunne de fleste steder spores ca. 50-60 cm over bundniveauet, og under dette lag var voldgraven teglfri. De nederste, teglfrie lag bestod for en dels vedkommende af brunlige, fedtede lag af slamagtig karakter -indimellem med uomsatte småkviste og et enkelte mindre stykke af en stamme (uegnet til dendrokronologisk datering). Det slamagtige materiale forelå i flere partier som løse klumper med vandfyldte hulrum imellem. Dette kan evt. tolkes som værende skabt ved, at vand er sivet gennem et lag af grene og kvas, der har samlet sig i bunden af graven. Bevarede grene og kvas er set flere steder i voldgraven. Det er ikke klart ud fra det foreliggende, om voldgraven har været konstant vandførende, eller om den kun periodevis har været sat under vand. Men i og med at organisk materiale – træ – har overlevet her både som småkviste og større stamme- og stolpestykker indikeres dog en ganske høj grad af fugtighed. Under udgravningen var der en jævn tilstrømning af vand – ikke særlig kraftig – men dette vand kan ligeså godt stamme fra alle de små vandlommer mellem slamklumperne, som ved åbningen af felterne blev drænet ud af profilerne.

Bundkoterne i dette afsnit af graven svinger mellem 5,35 og 5,58. Det skal bemærkes, at der ingen steder er blevet gravet længere end ned til undergrundsniveauet. Der kan være sket nedskridninger af rent ler, så det ikke er den rigtige bund, der blev nået. I sandbunden på Fyrkat var dette årsag til forkerte bundmål i første omgang. Imidlertid er lerbunden så solid og stiv på Nonnebakken, at det næppe er tilfældet. Ved den tidlige voldgravsundersøgelse i 1988 en smule længere mod vest nåedes bunden i kote 4,84, men endnu lidt længere mod vest nåede Søndergaard kun ned i 5,73. Det synes altså som om bunden af voldgraven har varieret omkring kote 5,00-5,50 i den nordvestlige del af anlægget.
Afstanden fra bunden af graven til det rekonstruerede voldforløb er for alle 1988-gravninger samt et af Søndergaards snit omkring 12 meter.
Ved Læssøegades udmunding i Hunderupvej blev et fyldskifte, der ansåes for voldgraven, synlig 175 cm under asfalten. I den dybde og med de talrige installationer af forskellig slags, der er i gaden, var det ikke muligt at foretage en egentlig snitning af graven. I stedet blev lavet et antal boringer, der skulle give et indtryk af den, fig. 19. En fin skråning af gravens yderkant kunne da også konstateres, og ligeledes starten på den inderste. Selve spidsen må man dog gætte sig til, da boret her ramte en sten. Voldgravens skråning er noget mindre end 45°, men boreprofilen, der nødvendigvis måtte følge fjernvarmegrøften, var ikke anlagt, så den kunne forventes at ramme radiært ind på voldgraven.

Når det præcise midtpunkt af graven ikke kunne konstateres, kan man naturligvis heller ikke give et nøjagtigt mål for afstanden til voldfronten. Regner man med, at bunden har været ca. midt mellem borehul 4 og 6, bliver afstanden ca. 11 m til foden af volden.
Bundkoten kan heller ikke anføres. I borehul 4 og 6 ramtes undergrunden i hhv. kote 6,57 og 6,55. Fortsætter man skråningerne med 45° hældning fra disse punkter, indtil de mødes, ligger spidsen i kote 5,84. Da 45° hældning imidlertid er for meget, idet boreprofilen ikke ligger radiært på voldgraven, bliver den sande bundkote altså et sted mellem 6,55 og 5,84. En opgivelse omkring kote 6,00 er nok ikke helt ved siden af.
Det betyder, at bunden af voldgraven det pågældende sted ligger ca. 4 m under asfalten, som her er i kote 10,29. Undergrunden er idag kun bevaret til 175 cm under asfalten, men af Søndergaards optegnelser fremgår det, at der 22 m oppe ad Hunderupvej var undergrund umiddelbart under den ca. 0,5 m tykke vejkasse. Har der været tilsvarende forhold ved Læssøegades udmunding bliver dybden af voldgraven altså minimum 4 m, hvis man ovenpå undergrunden også tager højde for et muldlag.
I fortovet ud for Giersings Realskole kunne voldgraven heller ikke iagttages ved direkte fremgravning p.g.a. for mange installationer ovenover. Nogle enkelte boreprøver kunne dog gennemføres, men ikke nok til, at en profil i lighed med den fra Læssøegade kan tegnes. Det lykkedes at hente voldgravslignende fyld op fra 3 huller, hvoraf det dybeste målelige endte i kote 5,27. Et af hullerne var af omtrent tilsvarende dybde, men kunne ikke føres til bunds, da boret ikke kunne forlænges yderligere. Borehullet til kote 5,27 ligger i en afstand af ca. 12,5 meter fra escarpen.
Interessant er koten på 5,27, idet den giver et tal for, hvor dyb graven mindst har været på dette sted. Samtidig er der, som omtalt ovenfor, konstateret den oprindelige byggeoverflade i forbindelse med escarpen og den lodrette voldfront – begge dele beliggende næsten lige ud for det sted, borehullerne blev lavet. Overfladen lå i kote 9,20-9,25, hvilket altså betyder, at graven her i nordøst har været mindst 4 m dyb. Dermed gives der også mulighed for at få en fornemmelse af dens bredde: En 4 m dyb grøft med sider, der hælder 45°, vil foroven have en bredde på 8 m. Dette skal betragtes som en mindstebredde, for man kan næppe forestille sig, at skråningerne har stået stejlere end 45°; selv ikke i den stive Nonnebakkeundergrund. Med en mindre hældning vil bredden af graven blive tilsvarende større. Den angivne bredde kan kun gælde for det aktuelle sted i anlægget, idet naturlige hældninger i terrænet andre steder kan have betydet mindre bredde dér (forudsat at man har tilstræbt en nogenlunde ens bundkote). En 8 meter bred grav, der ligger ca. 12 m udenfor volden, giver en bermebredde på 8 m. Denne bredde bliver et maximumsmål, da en lidt bredere grav (en med knap så stejle sider) giver en tilsvarende smallere berme. Til sammenligning er graven omkring Fyrkat godt 2 m dyb, 7 m bred og bermen ca. 11 m[19], graven på Trelleborg er 4 m dyb, 17-18 m bred og bermen 5-6 m[20], og på Aggersborg 1,3 m dyb, 4 m bred og bermen 8 nr[21].
Ved angivelser af afstande til voldfronten er der hele tiden tale om den beregnede voldfront, som er lavet på grundlag af forholdsvis få faste punkter på volden. Den kan kræve justeringer efterhånden som flere faste punkter bliver kendt. Men uanset de mindre målejusteringr, der nok vil ligge indenfor en meter, må man konstatere, at voldgraven på Nonnebakken ligger noget tættere volden, end tilfældet er på Fyrkat. Eller rettere: bermen er smallere, idet bunden af graven ligger i nogenlunde samme afstand fra voldfronten. Bermens mindre bredde skyldes graves større dybde med deraf følgende større voldgravsbredde. Når graven blev dybere på Nonnebakken, kunne det ligge i naturgivne forhold – i et ønske om at knytte graven til den joker, som Fibækken er. Kun arkæologiske undersøgelser på anlæggets østside kan give svar på det.
Ved udgravning i 1992 kunne påvises den overflade, som vikingerne byggede på, i skolegården til Giersings Realskole, fig. 13 a-c. Det pågældende sted var byggeoverfladen i ca. kote 9,20-9,25 og det træffer sig netop så heldigt, at dette sted ligger lige dér, hvor volden endnu omkring århundredeskiftet var synlig. På kortet, der viser koteforholdene før 1909, fig. 4, kan man se, at de øverste dele ligger i godt og vel kote 12,5 – dvs. vikingernes vold har været mindst 3,5 m høj. Omkring århundredeskiftet så det dog næppe ud af helt så meget, idet en del af voldens materiale må være skredet ned og har hævet det omgivende terræn noget. Hvor meget, der er skredet ned, kan man kunne gætte på. Hvis volden har stået med en fuldstændig lodret, træ-klædt voldfront, kan det dreje sig om ret betragtelige mængder. En voldkrone i 5 meters højde eller mere forekommer ikke at være umulig. Om voldfronten så har været lodret helt op i denne højde eller kun på det nederste stykke er et åbent spørgsmål. Højden i forhold til borgpladsen har imidlertid været mere beskeden. I en fjernvarmegrøft syd for logebygningen i 1992 (som jeg iøvrigt ikke er kommet nærmere ind på i denne artikel) blev undergrundsleret konstateret op til kote 10,78, hvilket er halvanden meter højere end vikingernes byggeoverflade på ydersiden af volden ved Giersings Realskole.
Den ydre lodrette voldfront har været dækket af en tætstillet – men ikke helt lukket – række af skråtstillede stolper; escarpen. Der er ikke fundet tegn på yderligere skrå afstivning af den lodrette front, men det kan skyldes den ringe udstrækning af de gravede arealer. Både escarpen og den lodrette voldfront blev placeret i gravede grøfter.
Indvendigt har volden også haft en lodret front en inddeling i fag, idet stolperne har stået tæt med omkring en halv meters mellemrum. Hver stolpe synes at have været støttet af en skråstiver inde fra borgpladsen.

Det er muligt, at størstedelen af denne skråstiver har været underjordisk.
Foran en berme, der har været ca. 8 m bred, evt. lidt mindre, har været en op til 4 meter dyb, spidsbundet voldgrav. Gravens bredde har været 8 m.
Nonnebakken er et meget ødelagt voldsted. Og at få lidt sammenhæng i de spredte oplysninger, der i tidens løb alligevel er dukket op, ville være særdeles vanskeligt, hvis ikke man havde haft de andre anlæg som »facitliste«. Men deri ligger også en stor fare, idet man måske så overser ting, der kunne være lidt anderledes, eller måske begynder at se ting, som slet ikke er der.
På trods af den store ødelæggelsesgrad har det alligevel vist sig, at det er muligt at vriste oplysninger ud af anlægget. Der kan næppe længere være tvivl om, at selve forsvarsanlægget med vold og voldgrav må være magen til de øvrige trelleborge – det tør man vist godt vove at sige, selvom der endnu ikke er påvist nogen af de 4 porte i volden. Tilbage står så at påvise de fire huskarréer på borgpladsen, samt at datere anlægget. Specielt med hensyn til det sidste har det vist sig, at det måske ikke er helt umuligt: træ har kunnet overleve i voldgraven. Problemet med et dendrodateret træstykke fra 1988 var, at det var løsfundet og altså ikke med sikkerhed kunne siges at stamme fra anlægget. Men i forbindelse med den (eller de) overgange, der må have været over voldgraven, er der måske muligheder for at finde stolper, der står på plads.
Her kan det måske være givtigt at være opmærksom på en evt. østport. Hvis efterretningen fra 1876 om en gravplads øst for Nonnebakken[22] er rigtig, ville en østport være meget naturlig for at have nem adgang til gravpladsen. Hvis samtidig Fibækken som et lille vandløb er en realitet, må passagen af voldgraven i øst (Fibækken) have foreligget i form af en bro. En dæmning ville dårligt kunne komme på tale, idet der da ikke ville være passage for vandet i bækken. Med lidt held kan disse betingelser godt være opfyldte, og så er der absolut mulighed for at finde dateringsegnet tømmer.
Noter
- ^ Bonde & Christensen 1984:130 ff.
- ^ Andersen 1984:15.
- ^ Roesdahl 1977:168 ff.
- ^ Roesdahl 1977:167 f.
- ^ Jensen & Sørensen 1989.
- ^ Thrane 1991:7.
- ^ Upubl. undersøgelse, omtalt i Arkæologiske undersøgelser i Danmark 1986 & 1987, FOHj.nr. 6050.
- ^ Upubl. undersøgelse, j.nr. KMO VG84.
- ^ Vedel-Simonsen 1842:15.
- ^ Christensen 1988:29. note 10.
- ^ Christensen 1988:106.
- ^ Opmålinger og notater fra Svend Søndergaards hånd findes på Nationalmuseet i C.G. Schultz’s notesbøger nr. 62-64.
- ^ Undersøgelsen i 1992 er foretaget i slutningen af marts og i juli måned af forf. sammen med Lars J. Madsen og med bistand af Betina Buhl. Materiale herfra ligger på Møntergården under j.nr. KMONB92.
- ^ Undersøgelsen foretaget 27. marts 1988 af Nils M. Jensen og Jens Sørensen. Materiale herfra ligger på Møntergården under j.nr. KMONB87-2.
- ^ Undersøgelsen foretaget i maj 1988 af forf. sammen med Lars J. Madsen og med deltagelse af [ens Sørensen.
- ^ Nørlund 1948:48.
- ^ Olsen 1977:61.
- ^ Olsen 1977:63.
- ^ Olsen 1977:71 ff.
- ^ Nørlund 1948:62 ff.
- ^ la Cour 1972:50 & Olsen 1977:88.
- ^ Fyens Stiftstidende, 4. maj 1876.
Litteratur
- Andersen, H. 1984. Ringborgenes alder. SKALK 1984:2.
- Arkæologiske udgravninger i Danmark 1986. 1987. Rigsantikvarens Arkæologiske Sekretariat (red.). København.
- Arkæologiske udgravninger i Danmark 1987. 1988. Rigsantikvarens Arkæologiske Sekretariat (red.). København.
- Bonde, N. og Christensen, K. 1984. Trelleborgs alder. Dendrokronologisk datering. Aarbøger for Nordisk Oldkvndighed og Historie 1982. København.
- Christensen, A. 1988. Middelalderbyen Odense.
- la Cour, V. 1972. Danske borganlæg til midten af det trettende århundrede.
- Bind I-II. København.
- Jensen, N.M. og Sørensen, J. 1989. En ny brik til udforskningen af Nonnebakke-anlægget i Odense. Fynske Minder.
- Nørlund, P. 1948. Trelleborg. Nordiske Fortidsminder, IV. Bind, 1. hefte. København.
- Olsen, O. og Schmidt, H. 1977. Fyrkat. En jysk vikingeborg. 1. Borgen og bebyggelsen. Nordiske Fortidsminder (Serie B-in quarto), bind 3. København.
- Roesdahl, E. 1977. Fyrkat. En jysk vikingeborg. II. Oldsagerne og gravpladsen. Nordiske Fortidsminder (Serie B – in quarto), bind 4. København.
- Thrane, H. 1991 (4. udg.). Nonnebakken, Odenses forsvundne vikingeborg. Fyns Oldtids arkæologiske vejvisere. Odense.
- Vedel-Simonsen, L.S. 1842. Bidrag til Odense Byes ældre Historie. Første Bind.